Piemonte Parchi
Natura
Non è la più forte delle specie che sopravvive, né la più intelligente, ma quella più reattiva ai cambiamenti.
(Charles Robert Darwin, biologo, naturalista e illustratore britannico, celebre per aver formulato la teoria dell'evoluzione delle specie)
Lunedì, 3 Aprile 2017
A.A.A. Arriva nei nostri mari il pesce scorpione
E' un pesce tra i più attrattivi e appariscenti, ma risulta…
Lunedì, 3 Aprile 2017
La cascata di Noasca
Quella di Noasca o della Noaschetta (dal nome del torrente che…
Mercoledì, 29 Marzo 2017
Obiettivo 2030: più biodiversità e stop alle specie invasive
Il ministero dell'Ambiente ha aperto alla società civile il dibattito relativo…
Martedì, 28 Marzo 2017
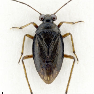
Marittime, scoperto un nuovo insetto acquatico
Mai segnalata prima in Italia, la 'cimice delle rive' - Salda…
Venerdì, 24 Marzo 2017
I tesori del fiume sono racchiusi in un libro
Le lamprede di mare e il proteo, un animaletto dalla pelle…
Mercoledì, 15 Marzo 2017
Provincia di Novara, la biodiversità è in rete
Con il progetto "Novara in rete" si creano connessioni tra le…
Martedì, 7 Marzo 2017
Il tulipano montano dell'Ossola
Specie rara in prati aridi e montani dagli 800 a 1800…
Lunedì, 2 Settembre 2019
A Marcarolo la biodiversità arriva in tavola con i ravioli al Tuccu
Risultato di una tradizione antichissima, la ricetta proposta dal Parco Capanne…
Lunedì, 30 Gennaio 2017
Il Piano Forestale Regionale e la biodiversità
Il ruolo della Rete Natura 2000 e delle Aree Protette del…
Lunedì, 21 Novembre 2016
S.O.S. biodiversità
Venduto sul mercato a un prezzo di 620 € al chilo,…
Venerdì, 4 Novembre 2016
Tutelare la biodiversità è un lavoro, serio
Soltanto in Piemonte, sarebbero circa 10mila le giornate di lavoro necessarie…
Mercoledì, 2 Novembre 2016
Marittime, il 'ragno lupo' minacciato dal clima
Il riscaldamento globale mette a rischio il Vesubia jugorum, aracnide endemico…
